La Métropole Aix-Marseille-Provence lance les travaux du rond-point de La Gaye ce 8 décembre pour fluidifier le trafic routier à la fin du boulevard urbain sud (BUS). Le chantier devrait durer dix mois.

Top départ des travaux du futur rond-point de La Gaye à l’intersection des boulevards Catherine Blum, Sainte-Marguerite, de la Gaye et du Cabot, comme nous l’annoncions dans un précédent article.

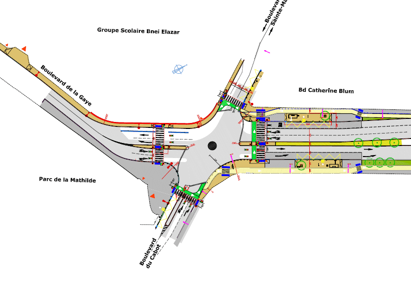
Il s’agit de transformer le double carrefour congestionné en un seul qui distribuera la circulation sur les quatre boulevards. Il doit prendre la forme d’un rond-point à feux, sur le modèle de celui du Prado. La Métropole Aix-Marseille-Provence annonce le début de ce chantier de 10 mois visant à fluidifier le trafic automobile.

Cette opération, estimée à 2,5 millions d’euros, vise notamment à résoudre la problématique du « mur » sur lequel aboutit le premier tronçon de quatre voies du boulevard urbain sud et résorber les bouchons quasi-quotidiens que déploraient les habitants et les comités d’intérêts de quartier (CIQ) depuis des années.

la gaye, Boulevard urbain sud : les travaux démarrent sur le rond-point de La Gaye, Made in Marseille

Un chantier en deux phases

Une première phase du chantier durera jusqu’au 19 décembre. Elle consistera à réaliser les réseaux en eau potable sous le boulevard Sainte-Marguerite, ainsi que des sondages de reconnaissance à l’intérieur du groupe scolaire Bnei Elazar (voir ci-dessus).

Ensuite, une seconde phase des travaux se poursuivra après les vacances scolaires, à partir du 5 janvier, avec la déconstruction, puis la reconstruction du mur de clôture de l’école et la poursuite des déviations de réseaux.

la gaye, Boulevard urbain sud : les travaux démarrent sur le rond-point de La Gaye, Made in Marseille

La poursuite du BUS toujours en débat

La poursuite de cet axe routier pour désengorger les quartiers Sud de Marseille est néanmoins toujours en débat. Alors que le premier tronçon relie l’échangeur Florian (Saint-Loup) au Cabot, le BUS devait continuer encore sur trois kilomètres pour aboutir au Roy d’Espagne.

Or, la municipalité actuelle s’oppose à son extension depuis 2020 défendant la réduction de la place de la voiture. La Ville a saisi le tribunal administratif contre la poursuite du projet, mais la Justice a donné raison à la Métropole.

Reste qu’à quelques mois des élections municipales, ce projet décrié par la gauche et adoubé par la droite, devrait à nouveau figurer au centre des débats entre les candidats.

Carte interactive des 3 tronçons

En bleu, le tronçon réalisé, en rouge, la phase en projet, contestée. En vert, le Boulevard Urbain Vert.

Bouton retour en haut de la page